隱翅蟲真的有那麼可怕嗎?隱翅蟲皮膚炎又是怎麼一回事?

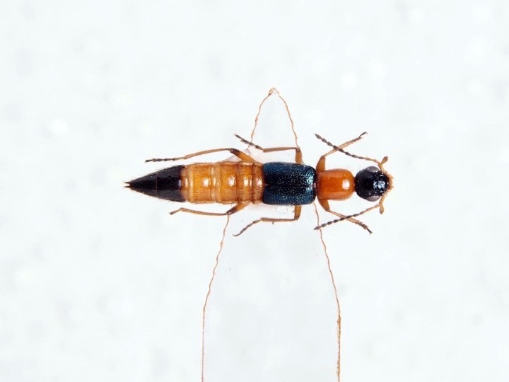
最常見的毒隱翅蟲,青翅蟻形隱翅蟲(Paederus fuscipes)。圖/何彬宏

隱翅蟲(科名:Staphylinidae)雖然長得很像白蟻,但牠們其實是一種甲蟲;而其最被人所熟知的是隱翅蟲造成的隱翅蟲皮膚炎(Paederus dermatitis)。不過他們真的有那~麼可怕嗎?在臺灣已經有超過 1000 種已經被命名的隱翅蟲,而其中可能對人類造成傷害的只有少數 20 幾種。

這次就讓我們來一起聊聊關於隱翅蟲皮膚炎的成因以及如何避免,和將隱翅蟲用於農業害蟲防治的相關案例吧。

隱翅蟲皮膚炎的原因是?

隱翅蟲皮膚炎是大家很不喜歡隱翅蟲的一個原因,但為何會染上隱翅蟲皮膚炎呢?首先,我們要先知道「隱翅蟲素」是什麼。

隱翅蟲素的組成結構。 圖/Jörn Piel (2002). A polyketide synthase-peptide synthetase gene cluster from an uncult ured bacterial symbiont of Paederus beetles. PNAS, 99(22):14002-14007.

隱翅蟲素是由毒隱翅蟲體內的共生細菌所產生的一種「醯胺」,它可以有效地抑制 DNA 的合成,並阻斷細胞的分裂導致細胞死亡,進而造成隱翅蟲皮膚炎。皮膚接觸到隱翅蟲素會引發皮膚刺痛、紅腫、水泡等症狀。不過隱翅蟲素並不會分泌在毒隱翅蟲的體表,而是在身體破裂時才有可能將隱翅蟲素釋放出來,因此只有在將毒隱翅蟲打死並讓皮膚沾染到毒隱翅蟲的體液,才會發生隱翅蟲皮膚炎。

-----廣告,請繼續往下閱讀-----

而就如文章開頭所說的,也有其他不具有隱翅蟲素的種類像是梨須隱翅蟲屬(Oedichirus),牠們演化出類似毒隱翅蟲屬(Paederus)的外型,這個外型大大降低了牠們被攻擊的機會。

各種貝氏擬態毒隱翅蟲的隱翅蟲及其棲息環境。 圖/黃福盛。

那該如何防治隱翅蟲呢?

1.夏季夜晚緊閉門窗

與人類較接近的青翅蟻形隱翅蟲(Paederus fuscipes)具有相當強的趨光性,而一般家中所使用的日光燈,夏季時會吸引來大量的青翅蟻形隱翅蟲,在家中若稍有不慎擠壓到的話,可能會使蟲體爆裂,造成體液流出,故可以緊閉門窗,防止青翅蟻形隱翅蟲進入家中。

2.看清楚爬在皮膚上的是什麼,再作處置

人們時常因為覺得身體癢就去抓,或是覺得是蚊蟲叮咬,而直覺性的打下,這其實是相當危險的行為。因為毒隱翅蟲在身上爬時,並不會留下隱翅蟲素,而是身體破裂時才會,所以若見到隱翅蟲在身上爬時,只需輕輕吹掉即可。

3.夏季時若非必要,不要待在草生地附近的光源處

這同樣是為了避免遇到光線吸引而來的青翅蟻形隱翅蟲,而草生地是青翅蟻形隱翅蟲的棲息環境,會有更大量的青翅蟻形隱翅蟲聚集,所以只要避免在光源處,即可降低接觸到青翅蟻形隱翅蟲的機率。

-----廣告,請繼續往下閱讀-----
青翅蟻形隱翅蟲(Paederus fuscipes

隱翅蟲皮膚炎又該如何處理呢?

如果不慎染上隱翅蟲皮膚炎不用過於驚慌,在接觸隱翅蟲素的當下應立即以大量清水沖洗,並盡速至皮膚科就診。起初症狀會起水泡、紅腫,大約經過三至四天後傷口會開始乾涸,約一至兩週後就會結痂脫落,有些案例會引起細菌感染,因此若是到皮膚科就診,醫師通常會提供口服抗生素跟類固醇。只要有適當的處理方式,隱翅蟲皮膚炎一般不會引起太大的傷害。

隱翅蟲皮膚炎。 圖/Syed Nurul Rasool Qadir, Naeem Raza, Simeen Ber Rahman (2006). Paederus dermatitis In Sierra Leone. Dermatology Online Journal:12(7):9.

隱翅蟲不是都好壞壞,牠們也能幫助農民

在各式各樣的隱翅蟲中,有相當多的種類是屬於捕食性的肉食隱翅蟲,這使得牠們可以在農業上用於生物防治,國內就有多篇報告指出隱翅蟲用於生物防治的案例。

黃角小黑隱翅蟲(Oligota flavicornis),就是一種喜愛捕食農業害蟲神澤氏葉螨(Tetranychus kanzawai)的隱翅蟲:不管是成蟲還是幼蟲都會以神澤氏葉螨的卵為食,且捕食效率較大多數用於生物防治的昆蟲佳。也有報告指出,青翅蟻形隱翅蟲會以危害水稻田嚴重的害蟲褐飛蝨(Nilaparvata lugens)等多種農業害蟲為食,若是未來能夠提升黃角小黑隱翅蟲、青翅蟻形隱翅蟲的繁殖技術,對於生物防治能夠帶來莫大的幫助。

只要小心預防、仔細觀察,對隱翅蟲其實不用太過恐懼。

-----廣告,請繼續往下閱讀-----

參考資料

  • 何琦琛、陳文華 (2002)。黃角小黑隱翅蟲對神澤氏葉蟎卵量的取食與產卵反應評估。植物保護協會會刊,44(1),15-20。
  • 陳文華、何琦琛 (1993)。黃角小黑隱翅蟲(Oligota flavicornis (Boisduval & Lacordaire))之生活史、捕食量及其在茄園之季節消長。中華昆蟲,13(1),1-8。
  • 黃守宏、鄭清煥、王泰權、陳柏宏 (2015)。溫度對青翅蟻形隱翅蟲(Paederus fuscipes Curti)發育與繁殖之影響。台灣昆蟲學會第36屆年會,2015年10月,台中。
  • Jörn Piel (2002). A polyketide synthase-peptide synthetase gene cluster from an uncult ured bacterial symbiont of Paederus beetles. PNAS, 99(22): 14002-14007.
  • Rolf G. Beutel & Richard A. B. Leschen (2005). Phylogenetic analysis of Staphyliniformia (Coleoptera) based on characters of larvae and adults. Systematic Entomology, 30: 510-548.
  • Syed Nurul Rasool Qadir, Naeem Raza & Simeen Ber Rahman (2006). Paederus dermatitis In Sierra Leone. Dermatology Online Journal, 12(7): 9.



-----廣告,請繼續往下閱讀-----
胡芳碩

國立中興大學昆蟲學系畢業,現任臺灣研蟲誌編輯。研究興趣主要為隱翅蟲科 (Staphylinidae) 的系統分類學及擬鍬形蟲科 (Trictenotomidae) 之生物學等。研究文章發表於國內外各大期刊。

View Comments